文章目录
- 1. 神经网络基础知识
- 2. 用matlab创建一个简单的神经网络结构
我们将从研究一个小型CNN架构中的常见层开始,探讨每一层的作用。接着,使用预训练网络对不同图像进行处理,以可视化的方式学习深度网络在训练过程中的特征提取方式。
1. 神经网络基础知识
神经网络由称为“神经元”的计算单元组成,这些神经元以分层结构进行排列,每个神经元都会接收上一层的数据作为输入,再将计算结果传递给下一层。
在经典的全连接神经网络中,每个神经元会同时接收多个输入信号,并对这些信号施加一定的权重(weight)和偏置(bias),然后通过一个转换函数(激活函数)得到输出。
神经网络的行为主要取决于这些可调节的参数(权重和偏置)。在训练神经网络的过程中,通过不断调整这些参数,使网络的输出逐渐符合期望的结果。
2. 用matlab创建一个简单的神经网络结构
- 首先在matlab的APPS里找到Deep Network Designer;

- 然后创建一个空白网络;

- 对于任何卷积神经网络而言,第一层(The first layer)是一个图像的输入层。对于输入层,我们需要图像的大小(image size)。这里图像的输入大小是三个整数,分别对应图像的高度(height)、宽度(width)和通道数(number of channels)。例如,灰度图像(grayscale images)有一个通道,彩色图像(color images)有三个通道。那么我们现在就可以通过matlab设计器提供的“imageInputLayer”来创建一个输入层,这里设置输入尺寸为5x5x1。

- 卷积层通过应用不同的filters来获取输入图像的特征(features)。为了创造一个卷积层,你需要指明filter的尺寸(Size)和数量。filter的尺寸包含两个元素,分别对应filter的高(height)和宽(width)。注意,这两个值应该为整数。通常我们还需要调整padding和stride来加速计算。下面我们来创建一个卷积层和全连接层,这里的filter尺寸设置为2x2,数量设置为1。

- 卷积层通常要紧跟一个激活层,这里我们用ReLU层(Rectified linear unit layer),这个层可以将所有负值变为0。

-
最大池化层通过一个所谓的池化操作来进一步压缩图片。它通过一个长方形区域来计算区域内最大值。池化层也有两个整数参量,即池化区域的高和宽。池化层还有同卷积层一样的stride和padding性质。

-
对于大多数卷积神经网络而言,他们都有很多层用于特征提取和压缩。但是,对于分类网络而言,输出层都是一样的。倒数第二层是一个全连接层(fully connected layer),全连接层的输出大小一定是一个整数,对应的是分类的数量。下面我们创建一个输出种类为2的全连接层。

- 最后一层是softmaxLayer。

-
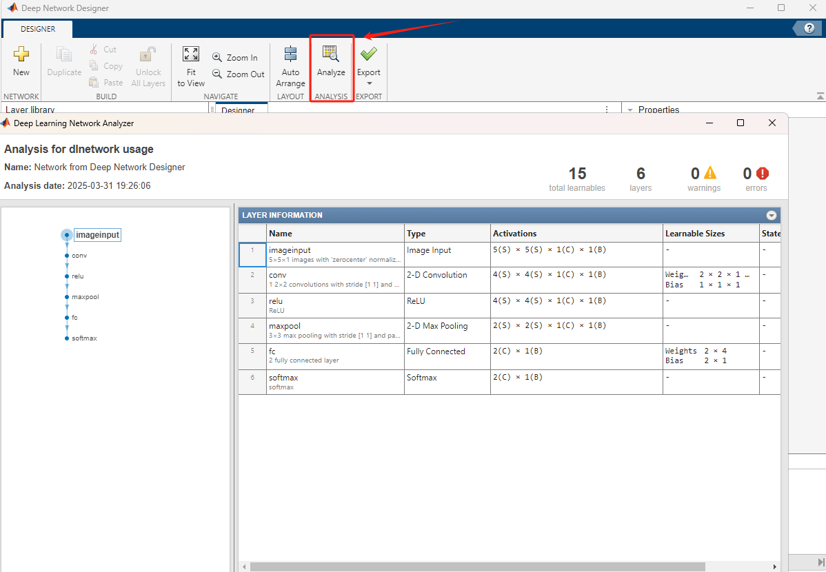
你可以使用工具栏中的 Analyze(分析) 按钮来研究网络,其中有大量信息,但你需要重点关注两个元素:网络中可学习参数(learnables)的数量,它是衡量网络复杂度的指标;以及 Activations(激活) 列的维度。
可学习参数的数量是指网络中权重和偏置的总数。通常情况下,拥有更多可学习参数的网络能够解决更加复杂的问题,但也容易产生过拟合(overfit)的情况。激活维度包括字母 S、C 和 B,分别表示空间维度(spatial)、通道维度(channel)和批次维度(batch)。由于该网络的输入图像大小是 5×5×1,因此前四个层的通道数都是 1。随着网络层次的增加,空间维度逐渐减小。

